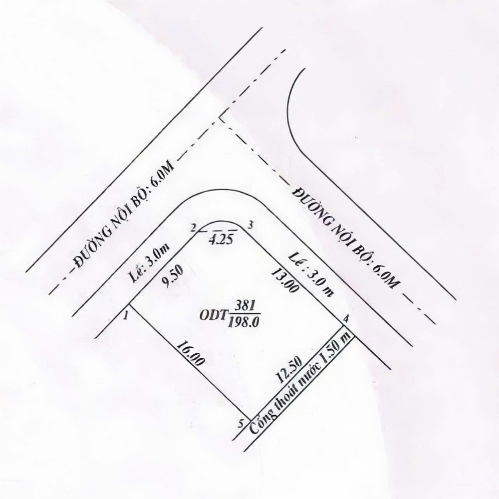
Bán nền góc 2 MT đường B13 và B16 KDC 91B . DT 198m2

Vị trí: An Bình, Cần Thơ
Mã tài sản: 25092281901 / Ngày đăng: 28-09-2025
(Tin Hết Hạn)
Giá bán
12 tỷ
~60,6 triệu /m2
Diện tích
198m2
Phòng ngủ
Thông tin mô tả
Bán nền góc 2 MT đường B13 và B16 KDC 91B . DT 198m2

- BÁN NỀN GÓC 2 TIỀN GÓC B13 - B6 __ KDC 91B
- diện tích : 12.5m x 16m = 198m
- Sổ hồng ODT
- Lộ : 12m . Tây bắc - Đông Bắc
- Tặng dãy trọ đang thu nhập ổn định
- Giá bán : 12 tỷ
- Liên hệ : 0931 101 311 gặp Mr Phúc
Kiến trúc - Tiện ích
Loại địa ốcBán đất thổ cư
Hướng nhà
Số tầng
Số toilet
Đường trước nhà
Số phòng khách
Số phòng ngủ
Pháp lý
Vị trí tài sản
Xem thêm
Chú ý:
Mọi thông tin liên quan tới tin rao này là do người đăng tin đăng tải và chịu trách nhiệm trên nội dung, hình ảnh, video… Nhà Đất CafeLand luôn cố gắng để có chất lượng thông tin tốt nhất và trung thực nhất. Nhà Đất CafeLand không đảm bảo và không chịu trách nhiệm về bất kỳ nội dung nào liên quan tới tin rao này. Nếu quý khách hàng phát hiện có tin đăng giả mạo hãy thông báo cho Ban quản trị Nhà Đất CafeLand, nếu xác minh đúng chúng tôi thưởng 200,000đ vào tài khoản để đăng tin.
Tìm kiếm
Thông tin liên hệ
(0 đánh giá)
Mobile: 0931101...hiện số
Email: phuc110538@*********
Địa chỉ: Cần Thơ
Zalo
Bất động sản đã xem