BÁN ĐẤT TRUNG TÂM TỊNH BẮC GIÁ RẺ HƠN THỊ TRƯỜNG nhiều lần (Tin Hết Hạn)

Vị trí:
Ba Gia, Quảng Ngãi Lưu tin
Mã tài sản: 22012056484 / Cập nhật: 15-01-2022
Giá bán
600 triệu
~4,4 triệu /m2
Diện tích
135m2
Phòng ngủ
Thông tin mô tả
BÁN ĐẤT TRUNG TÂM TỊNH BẮC GIÁ RẺ HƠN THỊ TRƯỜNG nhiều lần
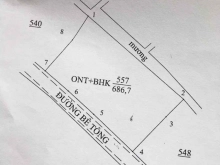
- Diện tích: 135 m2.
- Hướng nam
- Đường 5 m, gần trung tâm xã tịnh bắc , cách trường học chỉ 50 m , chợ tịnh bắc 100 m
- Nằm trong khu dân trí cao
- Giá: 6xx triệu đầu tư
===============
Liên hệ : 0367 302 252 Kim Chi
Kiến trúc - Tiện ích
Loại địa ốc Bán đất thổ cư
Hướng nhà
Số tầng
Số toilet
Đường trước nhà
Số phòng khách
Số phòng ngủ
Pháp lý
Vị trí tài sản
  •  
  •  
Xem thêm
Chú ý:
Mọi thông tin liên quan tới tin rao này là do người đăng tin đăng tải và chịu trách nhiệm trên nội dung, hình ảnh, video… Nhà Đất CafeLand luôn cố gắng để có chất lượng thông tin tốt nhất và trung thực nhất. Nhà Đất CafeLand không đảm bảo và không chịu trách nhiệm về bất kỳ nội dung nào liên quan tới tin rao này. Nếu quý khách hàng phát hiện có tin đăng giả mạo hãy thông báo cho Ban quản trị Nhà Đất CafeLand, nếu xác minh đúng chúng tôi thưởng 200,000đ vào tài khoản để đăng tin.
Chat nhóm trong khu vực Quảng Ngãi Chat nhóm Quảng Ngãi Xác nhận tin đăng này đã bán Nhận mail theo yêu cầu Thông tin quy hoạch khu vực này Dự án thuộc khu vực này Đăng tin bán đất khu vực này Đăng ký môi giới tài sản này
Thông tin liên hệ
(0 đánh giá)
Địa chỉ: Nghĩa Lộ,Tp. Quảng Ngãi,Quảng Ngãi
Zalo